![]() |
1. CONJUNTO DE LA MINA CARABINERA
Situada en una loma junto al río Jauto en lo que se conoce como Majada del Albaidar nos encontramos con los restos de una de las antiguas minas más conocidas en la zona. Los restos de las instalaciones están situadas encima de la loma y se encuentran muy deterioradas en su mayor parte. El acceso a esta mina se puede realizar siguiendo el cauce del río Jauto o desde San Manuel siguiendo por la antigua Vía Vulcano y desviándose, después de pasar el segundo túnel de dicha vía, por un deteriorado camino serpenteante que baja hasta el barranco de Los Lobos y que asciende por la otra vertiente, este camino también nos llevará a Carabinera.
Las estructuras están ubicadas en la loma según su relación funcional, cercanas a la cima se pueden encontrar dos pozos, al lado de uno de los cuales todavía se conserva la caseta que albergaba la máquina de vapor. El mineral extraído por los pozos se depositaba en una tolva-cargadero de un cable aéreo que llevaba el mineral hasta la Vía Vulcano, donde se encontraba la estación motriz de este cable y unas tolvas para la recogida del mineral que iba a para a San Manuel. En la parte superior de la loma encontramos los restos de una caseta que se encuentra conectada por lo que parece una tubería de mampostería que conecta con lo que parece una balsa de decantación de minerales, posiblemente para tratar los lodos y recuperar el hierro. A parte de los pozos parece ser que existía una vía que conducía también hasta la tolva-cargadero desde una o varias galerías situadas en la parte media de la loma, a la altura de los pozos.
En la parte más inferior del complejo tenemos varias casetas la galería de servicio para los mineros, que conecta con los pozos de extracción. Todavía se observan los canales y tuberías construidas por los trabajadores de Hierros de Garrucha en el trabajo de desagüe de esta mina tanto dentro de las galerías como en el exterior.
Datos históricos: Se corresponden con trabajos en la concesión de Carabinera, explotadas por la filial de la Compañía de Águilas.
Inmuebles:
| 1. Pozos | Hay dos, uno de ellos presenta un pequeño parapeto de ladrillo unido con cemento a su alrededor, parte de los trabajos de desagüe de la mina por Hierros de Garrucha. Ninguno conserva el castillete. Junto a uno de ellos no hay restos reconocibles de la existencia de una sala de máquinas, por lo que podría tratarse de un pozo lumbrera. |
| 2. Sala de máquinas. | En ruinas de uno de los pozos, no queda ni rastro de la máquina de vapor que albergaba. |
| 3. Ocho edificaciones | Se encuentran en distintos estados de conservación, una de ellas, la situada más a la izquierda conserva todavía la techumbre porque al parecer ha sido usada posteriormente como almacén o para guardar ganado. |
| 4. Tolva-cargadero | En mal estado de conservación, de planta rectangular, se conserva un plano inclinado en mampostería junto con un muro lateral de guía. No queda ni rastro de las estructuras y compuertas de carga así como ningún rastro reconocible de estructuras del cable aéreo. |
| 5. Lavadero. | Balsa situada en la parte superior de la loma y conectada con una especie de tubería de mampostería. |
| 6. Canal. | Viene del interior de las galerías, parece que fue utilizado en el desagüe de las galerías por parte de Hierros de Garrucha. |
Muebles:
| 7. Vagoneta de cable aéreo. | Único vestigio reconocible de la existencia del cable aéreo que partía de esta mina. |
![]() |
Cuadro 1.1. Esquema de la disposición de los diferentes elementos en Carabinera. Lavadero; A. Sala de máquinas y pozo; B. Casetas y galería de servicio; C. Tolva-cargadero; D. Caseta con techo; E.
Fotografías:

Las dos fotografías superiores nos muestran la balsa y la caseta que sitúan en la parte superior del complejo de Carabinera. Ambas estructuras parece que estaban conectadas por una tubería de mampostería.

La fotografía superior izquierda nos muestra fragmentos de la tubería de mampostería que parecía unir la caseta con la balsa. La fotografía superior derecha nos muestra la sala de máquinas y el pozo, obsérvese que este pozo está rodeado por un muro de ladrillos, restos de los trabajos de desagüe que llevaron a cabo Hierros de Garrucha, S.A. en esta mina.

Las fotografía superior izquierda nos muestra las ruinas de las casetas que se hayan ante la entrada de la galería de servicio, de esta galería surge un canal que se une de manera perpendicular a otro canal que recorre el complejo.

La fotografía superior izquierda nos muestra los restos de la tolva-cargadero, en la de la izquierda vemos la caseta que todavía conserva el techo.

Interior de la galería de servicio de carabinera, ésta se bifurca para dar acceso a los dos pozos, se observan los trabajos realizados por Hierros de Garrucha para el desagüe de las galerías de esta mina.

En las fotografías superiores podemos ver un vagón del cable aéreo de Carabinera.
VAGÓN TIPO CARABINERA
2. CONJUNTO DE LA MINA ESPERANZA.
Ubicada en una de las vertientes del barranco de Los Lobos, se accede a los restos de este conjunto por el camino que desde los Pinos lleva hasta Vulcano, allí se ha de cruzar con cuidado el puente que atraviesa el barranco que viene de Los Pinos y conecta con el de Los Lobos y seguir un sendero hasta donde se encuentra los restos de otro puente que cruza el barranco, en este punto se ha de bajar al cauce del barranco y seguirlo barranco arriba hasta llegar a las ruinas del Pozo Esperanza que se encaraman en la vertiente izquierda del barranco. Un camino en forma de “S” se encarama por dicha vertiente a la derecha de las construcciones con dirección hacia la concesión de Borrasca. En el punto en el que este camino comienza su ascenso se encuentra la entrada de una galería junto a un pozo y un pequeño muro de piedra. El hecho de que esta mina fuera reabierta por Hierros de Garrucha ha permitido que los restos de la tolva estén en buenas condiciones, pues fue rehabilitada. Las vagonetas cargadas de mineral que se extraían del pozo eran basculadas en la tolva, desde la cual se cargaban las vagonetas que iniciaban el camino hacia San Manuel por la Vía Esperanza primero y después la Vía Vulcano, esta vía atravesaba el barranco por un puente del cual quedan algunos restos. Para el acceso del personal había una pequeña galería unos metros por debajo del pozo.
Historia: Mina dentro de la concesión de demasía a Sagunto, explotada por la filial de la Compañía de Águilas.
Inmuebles:
| 1. Pozo Esperanza | Pozo de boca rectangular. No queda ningún rastro de los castilletes. |
| 2. Pozo y galería | En el inicio del camino de subida. |
| 3. Sala de máquinas. | Parcialmente derribada. Contenía primero la máquina de vapor de la antigua mina y la posterior eléctrica de Hierros de Garrucha, S.A. No queda ningún rastro visible en su interior. |
| 4. Tolva Esperanza. | Con forma de medio cono truncado invertido de mampostería, conserva la pared de guía lateral y tres guías inferiores que eran parte del sistema de carga en las vagonetas. Se encuentra en buen estado de conservación. |
| 5. Torre del transformador. | Situado en la parte superior de la vertiente del barranco, construida por Hierros de Garrucha para alimentar la máquina eléctrica que movía las jaulas en el pozo. |
| 6. Galería de acceso. | Situada 9 metros por debajo de la boca del pozo. |
Muebles:
| 7. Vigas de madera. | Se conservan varias vigas de madera en el interior de la galería de acceso al personal. |
Fotografías:
En las fotografías superiores, y de izquierda a derecha podemos ver el transformador de Esperanza, el pozo de extracción y la sala de máquinas.

En la fotografía superior: tolva-cargadero del Pozo Esperanza.

La fotografía superior izquierda nos muestra la galería y el pozo que se encuentran a la subida del camino que sube por la vertiente del barranco. La fotografía superior izquierda nos muestra la entrada de servicio al Pozo Esperanza, donde todavía se ven unas vigas de madera.
3. CONJUNTO DEL POZO DE LAS PALAS (Trancada de San Marcial).
Situado en el barranco de Los Lobos, en la vertiente opuesta a la que se encuentra el conjunto Esperanza. Los restos están muy deteriorados, tan solo se aprecian restos de muro de difícil identificación, la boca de un pozo y los restos de una casa-cueva de función desconocida. Esta mina fue explotada por Hierros de Garrucha, S.A. en lo que se conoció como Pozo de las Palas y cuya galería de entrada se derrumbó, estado en el que se encuentra en la actualidad.
Historia: otra de las minas de la concesión de demasía a Sagunto, colindante a la mina Esperanza (sus labores se comunican)
Inmuebles:
| 1. Pozo. | Boca de pozo circular, no se aprecia la presencia de ninguna sala de máquinas ni restos de castillete. |
| 2. Casa-cueva | Ruinas de una pequeña casa cueva. |
| 3. Galería de entrada del Pozo de Las Palas. | Derrumbado en la actualidad. |
Fotografías:

La fotografía superior izquierda nos muestra el pozo que se puede encontrar en este complejo, rodeado por un pequeño muro de piedra. En la fotografía superior izquierda podemos ver las ruinas de una pequeña habitación-cueva.
4. CONJUNTO HOYO JÚPITER-SANTA CECILIA-SAN IGNACIO
Situada en el paraje conocido como “Las Cañadicas de Serena”. Es conocido como Hoyo Júpiter durante su explotación por parte de Hierros de Garrucha y comprende las antiguas concesiones mineras de Porfiado, Júpiter y Mahoma. Se trata de uno de los centros mineros de hierro más importantes de la Sierra de Bédar pertenecientes a la Sociedad Civil Minera “La Recuperada” y arrendadas a la Compañía de Águilas, S.A. y posteriormente vueltas a explotar por parte de la empresa Hierros de Garrucha, S.A.
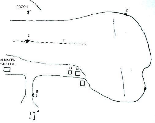
Se accede a estos restos desde las ruinas de las antiguas oficinas de Hierros de Garrucha S.A. en las Cañadicas. Desde el Hoyo Júpiter, Hierros de Garrucha, S.A. explotó los yacimientos de hierro que se dirigían en dirección noroeste y que eran conocidos como Santa Cecilia y San Ignacio; en dirección sureste se conectaron las labores con el Socavón de Los Lobos (antiguo Socavón de San Pablo, situado en la concesión de Sagunto), desde aquí avanzaron los trabajos hasta que llegaron a los yacimientos del Hoyo Júpiter a un nivel de 350 metros sobre el nivel del mar desde donde los explotaron en sentido ascendente y llevando a cabo un movimiento de mineral en sentido contrario por la Vía Vulcano hasta el cargadero de San Manuel. Las estructuras están distribuidas de manera funcional, encontrándose un grupo de edificaciones construidas por Hierros de Garrucha, S.A. en las que hay una caseta que albergaba un compresor “Demag” de 120 H.P, la torre del transformador que lo alimentaba, un sistema de almacenamiento de agua compuesto por un aljibe y dos balsas para refrigeración del motor y suministro de agua para los martillos perforadores (dotados de un sistema que evitaba la formación excesiva de polvo de mineral). Cercanas a este grupo se encuentran las ruinas de las duchas de los mineros, la oficina-cueva del Guarda y el almacén de carburo. En la zona del hoyo se aprecian una serie de galerías, pertenecientes a las antiguas labores llevadas a cabo en la zona por la Compañía de Águilas así como la galería principal por donde Hierros de Garrucha reinició la explotación de la zona.
Inmuebles:
| 1. Almacén de Carburo. | Ruinas de una caseta que se utilizó como almacén de carburo por parte de la Hierros de Garrucha, S.A. |
| 2. Oficina del Guarda. | Pequeña cueva utilizada como oficina por el Guarda de las minas durante la explotación por Hierros de Garrucha, S.A. |
| 3. Sala de duchas. | Caseta en ruinas de las duchas de los trabajadores de Hierros de Garrucha, S.A. |
| 4. Aljibe. | Situado en la parte superior de una pequeña loma, en buen estado de conservación. |
| 5. Balsas de agua. | Dos pequeñas balsas de agua para el motor y los martillos perforadores. |
| 6. Sala del compresor. | Ruinas de la caseta que albergaba el compresor “Demag” de 120 H.P. Se pueden apreciar todavía los anclajes del mismo. |
| 7. Torre del transformador. | Cercano a la caseta del compresor. |
| 8. Galería principal de acceso. | Situada en la parte sureste del hoyo y que da acceso a una galería, desde la cual parten dos trancadas, una hacia labores situadas en un nivel superior y otras situadas a nivel inferior. También se encuentran tres compuertas de buzones que parten desde galerías situadas a nivel superior, construidas con raíles y tablas de madera. |
| 9. Pozo P y castillete. | Se trata de un pozo con su castillete de mampostería y madera que se encuentra al este del Hoyo, situado en el barranco que desde Los Pinos se dirige hacia el barranco de Los Lobos. Pertenece a las antiguas labores de la Compañía de Águilas en la zona de Las Cañadicas de Serena. |
| 10. Pozo J. | Pozo derrumbado situado en el borde noreste del Hoyo Júpiter. |
| 11. Tolva antigua. | Restos de una tolva de mampostería perteneciente a las labores antiguas en la zona. |
| 12. Galerías. | Diversas galerías distribuidas por todo el Hoyo y pertenecientes a antiguas explotaciones. |

Cuadro 2. Esquema general del Hoyo Júpiter. Almacén de carburo, A; oficina del guarda, B; transformador, C; galería principal, D; “patio de luces”, E. Se indica con una línea discontinua el trazado del túnel que iba a salir a nivel del Socavón General.
Fotografías:
La fotografía superior izquierda nos muestra el almacén de carburo, en la izquierda podemos observar la entrada de la oficina del guarda.
En la fotografía superior izquierda vemos los restos de las duchas. La fotografía superior izquierda nos muestra el aljibe que estaba ubicado en la parte superior del complejo.
La fotografía superior izquierda nos muestra la balsa grande que se ubicaba junto al aljibe, en la izquierda podemos ver los anclajes del compresor y los canales de refrigeración del motor.
En la fotografía superior izquierda tenemos la torre del transformador, en la de la derecha podemos ver la balsa pequeña de agua que se encontraba junto al compresor.
La fotografía superior derecha nos muestra el interior de la Galería inferior del Hoyo Júpiter, todavía se pueden ver traviesas. En la fotografía superior derecha podemos ver la trancada de acceso a galerías superiores que parte desde la galería principal.
En la fotografía superior izquierda podemos ver una de las tres compuertas, fabricada con raíles y tablones de madera, que van a dar a la galería principal del Hoyo Júpiter. A la derecha, el pozo J.
En las dos fotografías superiores podemos ver el castillete del pozo P, de mampostería y madera. Se haya en buen estado de conservación, siendo el único castillete que queda en pie. El pozo P era uno de los pozos de extracción que había en las labores de las Cañadicas, se conoce también la existencia del pozo J, a no mucha distancia y el pozo M, que estaba situado a nivel de San Manuel.

Fotografía del Hoyo Júpiter desde el aljibe. Se observa un plano de mampostería que podría tratarse de una antigua tolva.
5. COMPLEJO VIA ESPERANZA-VULCANO.
Este ramal de vía minera conectaba el Pozo Esperanza y el de Las Palas con el cargadero de cable de San Manuel. Además recibía mineral procedente de las labores del Hoyo Júpiter por medio del Socavón de Los Lobos, el procedente de Carabinera por medio de un cable aéreo y el que aportaba un plano inclinado que partía desde el cauce del barranco de Los Lobos. Todo este complejo se encuentra en el conocido como barranco de Los Lobos.
La Vía Esperanza se origina en la tolva del pozo del mismo nombre, seguía paralela al barranco de Los Lobos y lo cruzaba por un puente que en la actualidad está derribado, una vez en la otra vertiente del barranco se unía a la vía procedente del Pozo de Las Palas y volvía a cruzar un puente que salva el barranco que viene de Los Pinos y que se une en ese punto con el barranco de Los Lobos. Este segundo puente se encuentra en buen estado de conservación, siendo todavía transitable. A partir de aquí comienza la vía Vulcano, que transcurre paralela al barranco de Los Lobos. La vía vulcano es de aproximadamente 1 km. De longitud y es transitable en casi todo su recorrido, algunos puntos se han derrumbado y es peligroso transitar por ellos. Todavía se observan algunos travesaños y clavos de la vía que tenía instalada y los muros de contención de mampostería, que se encuentran en buen estado de conservación.
Inmuebles:
| 1. Puente sobre el barranco Los Pinos-Los Lobos. | Este puente conectaba la Vía Esperanza con la Vía Vulcano y se encuentra en buen estado de conservación. |
| 2. Puente sobre el barranco de Los Lobos. | Derribado casi totalmente, formaba parte de la Vía Esperanza. |
| 3. Sala del compresor del Socavón de Los Lobos. | Se encuentra en ruinas y no se aprecia nada en su interior. |
| 4. Galería del Socavón de Los Lobos. | Junto a la sala del compresor. Se encuentra derrumbada. |
| 5. Plano inclinado de Vulcano. | Se aprecia todavía el trayecto del plano y la estructura que soportaba el motor y las poleas, de las que tan solo quedan los anclajes. Con este plano se salvaba un desnivel de m. y permitía a la vía pasar justo a nivel de las compuertas de carga de las tolvas de Vulcano. |
| 6. Tolvas de Vulcano. | Dos tolvas de mampostería de sección aproximada trapezoidal y en buen estado de conservación debido a que fueron reparadas y utilizadas por Hierros de Garrucha, S.A. Una de ellas dispone de dos compuertas de carga y la otra de tres. La primera de ella todavía conserva las compuertas metálicas de carga. Estas tolvas contaban con un tramo de vía en su parte superior para la carga de las mismas. |
| 7. Primer túnel. | Segmento de túnel justo después de pasar por las tolvas de Vulcano. Su estado es transitable. |
| 8. Roza del Tío Alonso. | Situada en la vertiente opuesta del barranco de Los Lobos a la altura del Socavón de los lobos. Se trata de una pequeña roza con diversas galerías y escombreras. |
| 9. Plano inclinado del barranco de Los Lobos. | De este plano de 70 m. de longitud todavía quedan algunos restos que delatan su ubicación. Conectaba el cauce del barranco con la vía Vulcano a nivel de su vértice y era movido por el motor que movía el cable a Carabinera. |
| 10. Estación de cable a Carabinera. | Ubicado antes de la entrada en el segundo túnel, no queda ningún rastro visible ni del motor ni de las tolvas, tan solo parte de los muros que formaban esta estación a nivel de la Vía Vulcano. |
| 11. Pozo San Jorge. | Situado a la altura de la estación de Carabinera pero a un nivel superior en la vertiente del barranco. No hay rastros de castilletes ni de sala de máquinas. |
| 12. Almacén de Vulcano. | Ruinas de una caseta conocida como Almacén de Vulcano. Se encuentra una vez pasado el segundo túnel. Se destruyó en un incendio. |
| 13. Segundo túnel. | Segmento de túnel. |
| 14. Trancada de Codina. | Entrada a una galería situada a un nivel inferior de la Vía de Vulcano. Lleva ese nombre por el ingeniero de la Compañía de Águilas D. Francisco Codina. |
| 15. Camino a Carabinera. | Parte desde las proximidades de la Trancada de Codina, baja en zigzag hacia el cauce del barranco y remonta la otra vertiente en dirección a Carabinera. |
| 16. Tercer túnel. | Son parte de las galerías de las labores de la concesión de San Manuel, conectaban la Vía con la estación de carga de la Estación de Serena o de San Manuel. |
| 17. Tolvas-buzones | Restos de dos tolvas o buzones simétricos de forma semicilíndrica que conectan el camino a Carabinera por la vertiente opuesta a la Vía Vulcano (a nivel del tercer túnel) con el cauce del barranco. De función desconocida, se encuentran en mal estado de conservación. |

Máquina del vapor y poleas del cable aéreo de Carabinera en la Vía Vulcano.
Fotografías:
En la fotografía superior izquierda tenemos los restos del puente que cruzaba el barranco de Los Lobos. El puente de la fotografía superior derecha es el que se cruza el barranco que viene de Los Pinos.
La fotografía superior izquierda nos muestra lo que queda del socavón de Los Lobos, en la de la derecha podemos ver la caseta del compresor de este socavón.

Fotografía superior: Roza del tío Alonso.
La fotografía superior izquierda nos muestra el soporte del motor del plano inclinado de Vulcano, en la de la derecha podemos ver los restos de este plano.
Fotografía superior derecha: pozo de San Jorge, cercano a la estación de cable de Carabinera. En la fotografía superior izquierda podemos ver los pocos restos que quedan, a nivel del lecho del barranco, del plano inclinado del barranco de Los Lobos.
n las fotografía superiores podemos ver una de las tolvas de Vulcano. Conserva todavía las compuertas metálicas de carga.

Vista superior de las dos tolvas de Vulcano en el barranco de Los Lobos.
En la fotografía superior izquierda podemos ver parte de la Vía Vulcano y la entrada al primer túnel. La de la derecha nos muestra el segundo túnel de dicha Vía.

Vía de Vulcano entre el primer y segundo túnel, se aprecia el conocido como Almacén de Vulcano y los restos de la estación de cable aéreo de Carabinera.
La fotografía superior izquierda nos muestra la entrada al tercer túnel o túnel de San Manuel, aprovechado para guardar ganado. La de la derecha nos muestra lo que parecen unas tolvas o buzones a nivel del camino que conduce Carabinera en el lado opuesto al que se encuentra la Vía Vulcano a nivel del barranco de Los Lobos.
6. COMPLEJO SAN MANUEL-PLANO GRANDE-OFICINAS-VIA DE GUERRERO
Este complejo comprende el terreno de las antiguas concesiones mineras de Porfiado y San Manuel. Se encuentran ubicadas en las Cañadicas de Serena. En él podemos diferenciar La Estación de carga de Serena, también llamada cargadero de San Manuel (por estar ubicado en terrenos de esta concesión); el Plano Grande, que conectaba el Socavón General (procedente de las labores de Júpiter y Mahoma); las Oficinas de Hierros de Garrucha, S.A. y la conocida como Vía de Guerrero (y estructuras asociadas). Es una zona difícil de describir porque se superponen restos pertenecientes a dos episodios mineros diferentes protagonizados por la Compañía de Águilas S.A. primero y Hierros de Garrucha, S.A. después.
6.1. Estación de carga de Serena y Plano Grande. Ubicados en terrenos de San Manuel. Esta estación era el punto de partida del cable Bédar-Garrucha primero y después del cable Bédar-Los Gallardos. Durante la época de la Compañía de Águilas había una serie de instalaciones: un almacén, una fragua, dos básculas y una edificación que se conocía como Casa Reemperada. Las tolvas de carga, de 800 toneladas, estaban dotadas de unos carriles de desvío que permitían la carga de 12 vagonetas del cable. Esta estación está rodeada de las labores y pozos de las minas, de hecho la Vía Vulcano en su tramo final aprovecha una galería minera para llegar al cargadero, entre estas labores destacan el Pozo M y la galería de San Darío. El Plano Grande conectaba esta estación con el Socavón General, que conectaba con las labores en Júpiter y Porfiado. Las galerías y socavones situados a la derecha del Plano Grande se conocen como “Cuevas Agujereadas” y corresponden a antiguas labores en la zona.
Con la llegada de Hierros de Garrucha se rehabilita el antiguo Plano Grande y se construye un nuevo cargadero de mineral sobre el antiguo de La Compañía de Águilas, cuyos restos son los que se pueden apreciar en la actualidad.
Inmuebles:
| 1. Tolva de carga. | Tolva de planta rectangular con una serie de compuertas para la carga de los vagones aéreos del cable. Pertenece a la tolva de carga del cable Bédar-Los Gallardos. |
| 2. Sala de máquinas. | Sala del motor eléctrico que movía el motor del cable Bédar-Los Gallardos, está en ruinas y no se aprecian restos en su interior. |
| 3. Estructuras de soporte del cable. | Parte del bastidor y anclajes del punto de partida del cable aéreo. |
| 4. Torre del transformador. | Para la alimentación del motor que movía el cable. |
| 5. Depósito de San Manuel. | Se trata de un muro de mampostería que rodea una elevación natural sobre la que antiguamente se ubicaba un almacén. Desde lo alto de esta elevación se iban basculando las vagonetas y acumulando el material que después se echaba a la tolva de carga. En su parte superior todavía se ven los anclajes de un torno manual que se usaba para subir las vagonetas que habían llegado por el Plano Grande. Es muy posible que este depósito fuera ya construido por la Compañía de Águilas y luego reutilizado por Hierros de Garrucha, ya que no hay constancia de su construcción por ésta última. |
| 6. Bases de poste del cable aéreo. | Bases de hormigón del primer poste del cable aéreo Bédar-Los Gallardos. |
| 7. Sala de la locomotora. | Pequeña caseta para guardar la locomotora diesel que prestaba servicio en la Vía Vulcano. |
| 8. Plano Grande. | Del plano se observa todavía el recorrido, pero no queda ningún rastro visible, se aprecia sin embargo parte del puente que lo cruzaba cerca de la Estación de Carga. |
| 9. Tolva antigua. | Restos de una tolva de mampostería situada a la izquierda del Plano Grande, de función desconocida. |
| 10. Tolvas de los Ingleses. | Situadas en la concesión de Aguirre, antigua concesión Olimpo. Ubicada en la trinchera nº 7 del cable Bédar-Garrucha. Se trata de los restos de una tolva de planta cuadrangular con muros reforzados con contrafuertes. Esta trinchera pone en comunicación lo que es el barranco del río Jauto con la rambla de Serena. Se desconoce de donde provenía el mineral que se cargaba en esta tolva, que debía a su vez usar el cable para ser transportada. Anexa a ella hay una pequeña habitación-cueva. |
Muebles:
| 11. Torno manual | Torno manual en buen estado de conservación. En la actualidad se encuentra como decoración exterior de un cortijo de Los pinos. |
Fotografías:
Fotografías superiores: Estación de carga de San Manuel, se aprecia la tolva de carga y las instalaciones del cable aéreo.
En la fotografía superior derecha podemos ver el transformador de San Manuel, en la de la derecha otra fotografía más del cargadero.
Las dos fotografías superiores nos muestran los restos de una tolva antigua en las Cañadicas, situada justo a la derecha del Plano Grande en dirección a las Oficinas.

Fotografía superior: visión panorámica de San Manuel.
Fotografía superior izquierda: caseta para la pequeña locomotora diesel que prestaba servicio en la Vía Vulcano. En la de la izquierda podemos ver los muros del depósito de mineral de San Manuel.
Fotografías superiores: dos vistas del Plano Grande, el de la izquierda está realizada desde el depósito de mineral de San Manuel y el de la derecha desde el lugar en que estaba ubicado el motor que movía el cable, justo encima del Socavón General.
La fotografía superior izquierda nos muestra la salida del túnel de San Manuel a nivel del cargadero. En la fotografía de la derecha podemos ver los anclajes del torno manual que estaba instalad en la parte superior del depósito de mineral.
Las fotografías superiores corresponden a las tolvas de los Ingleses, está situada en el extremo opuesto del barranco Baeza a nivel de la primera trinchera del cable Bédar-Garrucha desde San Manuel (la trinchera número 7 del cable). Se aprecian los muros con contrafuertes.

Torno manual usado como adorno en un cortijo de Los Pinos. Puede tratarse del torno manual que estaba en San Manuel y que fue usado posteriormente en una cantera de piedra verde en el barranco de la Cueva Oscura.
6.2. Oficinas de Hierros de Garrucha, S.A. y Socavón General. Situado en la partida del Plano Grande, en una explanada situada entre el Hoyo Júpiter y la Estación de carga de San Manuel. Se accede a ella por un desvío de la carretera que, desde la rambla de Serena, va hacia el barranco del río Jauto. Las estructuras que se pueden observar corresponden a Hierros de Garrucha. Durante la fase minera anterior en esta zona había un ramal minero llamado “Vía del Relleno” y una casa que hacía la función de botiquín.
Inmuebles:
| 1. Socavón General | Punto de salida del mineral procedente del Hoyo Júpiter. Todavía se ven las estructuras de hormigón que alojaban el motor que movían las vagonetas en el Plano Grande durante la fase de Hierros de Garrucha. |
| 2. Salas de oficinas y talleres. | Ruinas de lo que fueron las oficinas y talleres de reparación de Hierros de Garrucha. |
| 3. Fragua. | De la época de Hierros de Garrucha. Complemente en ruinas, en ellas se reparaban las barrenas rotas. |
| 4. Botiquín. | De la época de Hierros de Garrucha. Ruinas de una pequeña sala que se usaba como botiquín. |
| 5. Polvorín antiguo. | De la época de Hierros de Garrucha. Situado a un nivel superior a la altura del Socavón General, se trataba de una pequeña cueva que era usada como polvorín. |
| 6. Polvorín nuevo. | De la época de Hierros de Garrucha. Edificio en ruinas construido cuando el viejo polvorín fue insuficiente para guardar los explosivos. |
| 7. Restos de caseta antigua. | Ruinas de una antigua caseta, de función desconocida, perteneciente a la primera fase minera |
Fotografías:
En las dos fotografía superiores podemos ver los restos de las oficinas de Hierros de Garrucha, S.A. en las Cañadicas.
La fotografía superior derecha nos muestra los restos de la fragua que se encontraba junto a las oficinas y el taller en las Cañadicas y donde se reparaban las barrenas rotas. En la fotografía superior izquierda vemos los restos del polvorín nuevo.
En la fotografía superior derecha vemos la entrada del polvorín viejo, situado por encima de la salida del Socavón General. La fotografía superior izquierda nos muestra los restos de una caseta, perteneciente a las viejas minas, de función desconocida.

En la fotografía superior vemos el Socavón General junto a una serie de elementos que están por encima del mismo, entre ellos el anclaje del motor que movía el Plano Grande y los restos de un muro y una escalera pertenecientes a las antiguas minas.
6.3. Vía de Guerrero. Se trata de una antigua vía que daba servicio a unos buzones que se encontraban en la vertiente del barranco Baeza, por debajo del camino que iba desde San Manuel a la Rambla de Serena. Parece que están relacionados con una serie de escombreras que se sitúan por encima de dicho camino. Aún se puede apreciar el antiguo trazado de esta vía.
Inmuebles:
| Buzones de mampostería | Se pueden observar la presencia de dos buzones de mampostería que, al parecer, servían a esta Vía de Guerrero. Los restos de una de ellas se encuentran a pocos metros de la estación de Serena y los restos del segundo cerca del inicio de la vía y que se conocía como Buzón de Guerrero. |
| Cuevas-almacén. | Situadas en la parte superior de todo el complejo, por encima de las escombreras que se encuentran entre estas cuevas y el camino San Manuel-barranco de Serena. Se trata de dos pequeñas cuevas tapadas con muros. |
Fotografías:

Fotografía superior: barranco Baeza, al fondo se aprecia el cargadero de San Manuel y, partiendo de él, un sendero (apenas perceptible) que corresponde con el antiguo trazado de la Vía de Guerrero, en la parte final de este trayecto se ven los restos del antiguo buzón de Guerrero.
La fotografía superior izquierda nos muestra los restos de uno de los buzones que iban a descargar a nivel de la Vía de Guerrero, y en la derecha podemos ver unas cuevas transformadas en habitaciones con la construcción de unos muros en su parte posterior, pudieron ser usadas como almacén.
7. COMPLEJO SANTA CATALINA.
Situada en las Cañadicas, muy próxima a la cortijada de Serena en el conocido como Rincón de los Borregos. Quedan muy pocos restos de lo que fue una de las minas más importantes, origen del ramal de ferrocarril que llevaba su nombre. Apenas se puede observar lo que fue un depósito de mineral y la Roza principal de la mina, a parte de otras rozas pequeñas. Se accede a este complejo por un camino que parte desde Serena, a poca distancia, y a la derecha, vemos dos lomas separadas por un bancal de almendros. En la loma de la izquierda se pueden observar los restos del depósito, apenas unos muros, y en la de la derecha podemos ver la Roza de Santa Catalina. La vía principal transcurría por lo que es el bancal de almendros y que iba a descargar el mineral en una tolva que estaba situada a la izquierda del camino. De esta tolva no quedan más que un montón de piedras. A partir de esta tolva partía una vía que se internaba en el cerro situado inmediatamente a la izquierda, que corresponde ya a la mina de La Higuera, en cuyo interior se encontraba la tolva cargadero del tren que prestaba servicio en la vía Catalina.
Inmuebles:
| 1. Depósito de mineral. | Apenas se aprecian los restos de un muro y parte de la pared del depósito. |
| 2. Roza principal. | Situada a la derecha del bancal. |
Fotografías:
En la fotografía superior izquierda podemos ver los restos del depósito, en la de la izquierda la Roza de Santa Catalina.

Visión panorámica de la mina de Santa Catalina.
8. COMPLEJO DE LA MINA HIGUERA (ROZA DEL CASTILLICO).
Situada en el paraje conocido como Pago de Serena, junto a la Rambla de Serena. La parte visible de los restos de minas de esta concesión se conoce en la zona como “Roza del Castillico”. Los restos de un muro de mampostería sin mortero, que rodean la entrada de un túnel de 60 metros hasta el cargadero, tiene una forma que hace pensar en que se trataba de una tolva o buzón para la carga en los vagones del tren. El cargadero de la mina Santa Catalina debía encontrarse en la pequeña hoya que hay al final del túnel antes mencionado, desde el cual parece que parte varias galerías, aunque la maleza hace imposible ver más. Este cargadero, según la planimetría antigua, era de tres metros de alto y estaba dotado de 9 compuertas de carga, según se especifica en el plano, se hallaba “en el extremo del túnel”. Una de las galerías que parten desde esta hoya era usada por los mineros de Hierros de Garrucha para ir al Hoyo Júpiter, en su interior se hayan todavía una pequeña tolva rectangular provista de dos compuertas. También se encuentran en terrenos de esta concesión una serie de galerías, en las que todavía se pueden ver perforaciones para barrenos, de la que parte un gran pozo (del cual parten varias galerías secundarias). En este punto, y también según la planimetría antigua, se encontraba un plano inclinado dotado de un freno similar al que se usaba en la tolva depósito de Tres Amigos, una báscula y una fragua, aunque no queda ningún rastro de ellos. Todavía se pueden ver los restos de una pequeña habitación-cueva de uso desconocido.
Inmuebles:
| 1. Tolva del túnel. | Muro de mampostería que, por su forma en la zona de la entrada del túnel hacia el cargadero, podría haberse usado como tolva o buzón. En uno de sus laterales todavía se puede ver una pequeña escalera. |
| 2. Túnel de acceso al cargadero. | Túnel de 60 metros de longitud, viene a salir a una pequeña trinchera en el barranco de Serena. |
| 3. Cargadero de Santa Catalina. | Ubicado en una pequeña hoya, tan solo se aprecia la presencia de lo que fue un muro paralelo a lo que era la vía del tren. La vegetación hace imposible ver nada más. |
| 4. Galería de acceso al Hoyo Júpiter. | Se encuentra siguiendo el trayecto de la vía de la locomotora. |
| 5. Tolva de la galería. | Se encuentra en el interior de la mencionada galería, de pequeño tamaño y sección rectangular, está provista de dos compuertas de carga. Parece que fue construida por la Hierros de Garrucha, S.A. |
| 6. Caseta de la 020T Catalina | Se encuentra a poca distancia de la salida del túnel hacia el cargadero, es idéntica a la que antes había en el ramal de Mulata. Se utiliza actualmente para guardar el ganado. |
| 7. Galerías. | Se accede a ellas desde la tolva del túnel, por lo que parece una antigua vía minera. Se encuentran en una depresión del terreno y está compuesta por grandes galerías, en las que se aprecia todavía perforaciones para poner los barrenos y un pozo o galería casi vertical de la que parten varias galerías secundarias. |
| 8. Habitación-cueva. | De función desconocida. |
Fotografías:
Las dos fotografías superiores nos muestran la “Roza del Castillico”, donde se encuentra el túnel de acceso al cargadero.
La fotografía superior izquierda nos muestra la hoya donde debía estar situado el cargadero de Santa Catalina, justo al final del túnel de acceso. La de la derecha nos muestra las galerías que se encuentran a un nivel superior en la mina de La Higuera.
La fotografía superior izquierda nos muestra la habitación-cueva que se encuentra en La Higuera. La de la derecha es parte de las galerías superiores de esta mina, en la que se aprecian las perforaciones que se realizaban para la colocación de los cartuchos de dinamita.
Fotografía superior: interior de las galerías de La Higuera.
Fotografía superior izquierda: caseta de la locomotora 020T Catalina y al fondo la Roza del Castillico. Fotografía superior derecha: entrada al cargadero de Santa Catalina, también conocido como túnel de La Higuera.
Fotografía superior derecha: interior del túnel de acceso al Hoyo Júpiter una vez rebasado el cargadero. La fotografía superior derecha nos muestra una de las compuertas de la tolva que se encuentra en su interior.
Fotografía superior izquierda: vieja compuerta de carga situada dentro del túnel de acceso, ya a nivel de las labores en el Hoyo. La fotografía superior derecha nos muestra una pequeña habitación situada en un lateral al final del túnel de acceso al cargadero.
VAGÓN DE LA MINA DE LA HIGUERA
9. COMPLEJO ALERT
La concesión de Alerta se haya en el conocido como barranco del Sevalico, por donde discurría el ramal de ferrocarril de Catalina. En este complejo encontramos una serie de escombreras y galerías cercanas a lo que es el túnel del Servalico, de 200 m de longitud. Saliendo de este túnel y en dirección a Tres Amigos, a mano derecha se puede observar un muro y unas escombreras, en lo que corresponde a los trabajos realizados por Hierros de Garrucha, S.A. en Alerta, donde todavía resta la galería de entrada, que conserva el trabajo de entibación. Para el transporte del mineral, Hierros de Garrucha instaló unas tolvas metálicas desde donde se cargaba el mineral en camiones. Se conservan pocos restos de las minas anteriores, pero por planimetría antigua se sabe que existía, desde el socavón de entrada a la mina, unas vías de servicio en la parte exterior, mientras que las galerías interiores se extendían también por terrenos de las concesiones Mi Purita y Aguirre.
Inmuebles:
| 1. Galerías de Alerta. | Muy próximas al túnel del Servalico. Se trata de una serie de galerías de poca profundidad y varias escombreras entre las que se aprecian algunos restos de muro. |
| 2. Túnel del Servalico. | Túnel de 200 metros de longitud, uno de los dos túneles que atravesaba la locomotora Catalina para, desde el cargadero de Santa Catalina, llevar el mineral a la Tolva-depósito de Tres Amigos. |
| 3. Cargadero. | Muro situado a la derecha del ramal de Catalina en dirección hacia Tres Amigos. Parece que no fue construido por Hierros de Garrucha, pero que posiblemente fue usado para la instalación de las tolvas metálicas, su uso en las antiguas minas es desconocido, aunque podría haber sido usado como tolva o depósito de mineral. |
| 4. Galería de Alerta. | Galería que conserva el trabajo de entibación. Se haya derrumbada al cabo de pocos metros. Fue el punto de explotación usado por Hierros de Garrucha para explotar este yacimiento, que, según testigos, se situaba a un nivel superior respecto a la galería. |
Muebles:
| 5. Fragmentos de cable de acero. | Varios metros de cable de acero que se encuentran entre las ruinas del derrumbe sobre la Galería de Alerta. |
Fotografías:
Fotografías superiores: galería de Alerta, se conserva el trabajo de entibación.
Fotografías superiores: restos y escombreras de la antigua mina de Alerta.
Fotografía superior izquierda: entrada al túnel del Servalico desde Serena. Fotografía superior derecha: entrada al mismo túnel desde Tres Amigos.
10. COMPLEJO DE LAS MINAS SANTIAGO Y SORIA.
Estos restos se encuentran en el barranco del Atajo y de Los Rincones de los Pinos. Los restos, en muy mal estado, de este complejo son muy difíciles de interpretar. De esta mina partía un ramal de cable aéreo que iba a conectar con el ramal de ferrocarril de la mina Mulata, pero no se aprecian restos de cargadero como los de Silencio o Cuatro Amigos a excepción de una extraña construcción rectangular situada en la parte más baja del barranco junto a las casetas, con una estructura dentro que sí que hace recordar a los cargaderos de las minas anteriormente citadas. También es de difícil interpretación, por el mal estado en que se encuentran, las ruinas que se encuentran en la ladera del barranco vecino, parece ser una especie de plano o tolva que parte de una cornisa. Hierros de Garrucha, S.A. tenía intención de volver a explotar esta mina, y para ello llegó a construir una pequeña tolva y parte de un plano inclinado, pero no llegaron a acabarse.
Inmuebles:
| ¿Tolva? | Estructura muy deteriorada, al parecer de planta rectangular que aprovecha la inclinación del terreno y partiendo de una cornisa donde al parecer había la entrada a una galería. En la parte inferior es la mejor conservada y parece que estaba provista de una compuerta. |
| ¿Cargadero? | Se trata de una estructura rectangular que contiene una estructura parecida a la de los cargaderos de Cuatro Amigos y Silencio. En una de sus esquinas presenta lo que parece un pequeño buzón. |
| Casetas | Restos de dos casetas, casi completamente en ruinas. Por debajo de estas casetas hay una enorme escombrera. |
| Galerías. | Hay dos galerías en la parte superior del barranco, por encima de las casetas con pequeñas escombreras. |
| Tolva pequeña. | Situada al lado del camino entre Los Pinos y Vulcano. Construida por Hierros de Garrucha, S.A. |
| Plano inclinado. | Apenas unos restos de una estructura de hormigón, no llegó a construirse. |
| Casa Grande. | En la esquina que forman el camino de Serena a Los pinos y el de Los pinos a Vulcano, en ella se alojaban los jefes de las minas. Esta casa ha sido reformada por extranjeros y actualmente no guarda ningún parecido con la casa original. |
Fotografías:
En las fotografías superiores: restos de lo que parece una tolva o cargadero.
Las dos fotografías superiores nos muestran lo que parece un cargadero, la estructura se encuentra en muy mal estado.
En la fotografía superior izquierda podemos apreciar el aspecto actual de la Casa Grande. La superior derecha nos muestra los restos del plano que empezaron a construir.

Fotografía superior: restos de la tolva pequeña construida por Hierros de Garrucha para recoger el mineral procedente de la mina Santiago.
A continuación pasamos a incluir la diferente información que se ha ido publicando en los diferentes posts:
MINA CARABINERA
Hoy vamos a hablar de una de las minas más conocidas de Bédar, la mina «Carabinera». Se trata de una mina de hierro, en Serena, ciertamente un poco alejada de la población. Aunque también explotada por Hierros de Garrucha (ya lo comentamos en la sección correspondiente), su explotación se llevó a cabo básicamente durante las primeras minas, iniciándose su explotación conocida a finales del siglo XIX.
Disponemos de datos contrastados sobre ella, además de algunas noticias publicadas en los periódicos, algunos planos y, cosa rara, algunas historias sobre su origen, gracias a nuestro amigo Vicente González.
En el BOPA consta Ginés Orozco Segura como registrador, lo que realizó el 30 de abril de 1857, sobre tierras propiedad de Francisco y José Castaño, en el paraje conocido como la Majada del Albaidar. La demarcación de la mina, que seguía al registro y que se llevaban a cabo por parte de ingenieros de minas que se desplazaban a la mina a tal efecto, partió de una pequeña labor consistente en un pozo de 4 varas origen a su vez de una galería de 6 varas. Uno de los primeros análisis del mineral, en 1872, indican que contenían un nada despreciable 59,36% de hierro metálico y un 1,78% de manganeso metálico.

En este fragmento de plano, perteneciente al cajón de Serena de la Compañía de Águilas, se puede ver la anotación «Terrenos comprados a Luisa López, mina Carabinera» junto al río Jauto, junto otros que se encuentran en las proximidades, como los de Francisco Ramos Moreno, Benito Padilla, Antonio López Martínez, etc.
Inicialmente la concesión fue propiedad de la Sociedad Orozco y Cía, posteriormente fue a formar parte de la Sociedad La Recuperada, que arrendó esta mina, junto a otras en Serena, a la Compañía de Águilas. De hecho, la mina siempre perteneció a la Recuperada y la Compañía de Águilas nunca se hizo con su propiedad. Según la información y documentación facilitada por Miquel Secall Aragonés (bisnieto de Pedro A. Berruezo García y tataranieto de Pedro Berruezo Soler), se llevó a cabo una fusión de las sociedades propietarias de las minas Júpiter, Vulcano, Borrasca, Tormenta y Carabinera con la sociedad La Recuperada, como dueña de las minas San Manuel y Porfiado por otra. Esta sociedad, así conformada, arrendó estas minas primeramente a la Compañía de Águilas y posteriormente a Hierros de Garrucha, hasta la caducidad definitiva de las minas que poseían en Serena en 1988.

Borrador de las labores en la mina Carabinera y su conlindante Saturno, se indica el trayecto del cable aéreo hasta la vía vulcano
En cuanto a las dimensiones de la capa de mineral, la zona mineralizada de esta concesión ocupa unos 180-200 metros en dirección N-S con una anchura de 60-70 centímetros. El mineral afloraba a nivel del río Jauto, con el que linda, en una revuelta del río.

Haciendo click en el enlace superior podrán acceder al siguiente documento: expediente de la mina Carabinera, dado que el original desapareció, se inició un nuevo expediente que contiene, básicamente las gestiones llevadas a cabo para la caducidad de la misma.
La explotación empezó siendo a cielo abierto, pero debido al buzamiento de la capa de mineral en dirección SO no se pudo continuar este tipo de explotación y se creó una red de galerías con varios pisos, dirigidas hacia S y o, a altitudes de 194-180 metros y 170 metros, que se comunicaban por trancadas y pozos con el exterior. Para el transporte del mineral, se instaló una tolva y estación de cable aéreo, que llevaba el mineral hasta la vía Vulcano, a 300 metros de la entrada del segundo túnel, donde se encontraba la máquina de vapor que movía el cable.
En cuanto a la extracción de mineral, las Declaraciones de los mineros arrojan un total de casi 50.000 toneladas entre 1896 y 1906. Claro que esta cifra estaba muy artefactada, ya que eran declaraciones con fines fiscales. Sabemos que posteriormente también fue explotada, aunque no disponemos de datos concretos.
CARABINERA Y EL PROBLEMA DEL DESAGÜE
Disponemos de la siguiente referencia recogida en La Crónica Meridional de 20 de Octubre de 1897: «Siguen explotándose las de la compañía de Águilas que darán su acostumbrada producción, a pesar de que los trabajos que de la mina “Carabinera” en donde se beneficiaban grandes masas de mineral, se han inundado por haber rebasado con ellos el nivel del lecho del rio Jauto.»

Motor de estación del cable de Carabinera sobre la vía Vulcano.
Su ubicación junto al Jauto hizo que el desagüe fue uno de los problemas principales de esta mina. En La Crónica Meridional de 20 de Octubre de 1897 (núm 11.392, pág 2) se indica “que los trabajos que de la mina “”Carabinera”” en donde se beneficiaban grandes masas de mineral, se han inundado por haber rebasado con ellos el nivel del lecho del río Jauto.” En el mismo periódico se publicó el 19 de Agosto de 1911 la siguiente noticia: «En nombre de la Sociedad, Compañía de Águilas, presentó ayer un escrito en el Gobierno civil don Francisco Calderón de la Barca, acompañando memoria y plano para instalar un servicio eléctrico con el objeto de desaguar la mina “Carabinera”, del término de Bédar.»
Éste no debió ser el primer intento de desagüe de la mina, ya que en en la asamblea general de la Sociedad de Bédar celebrada en 1906 en París se informa de una bajada de los beneficios de la compañía durante 1905, debida en parte a las «costosas obras de desagüe de la mina Carabinera».

Plano del cajón de Serena de la Compañía de Águilas, «Proyecto de un sifón para el desagüe de la mina Carabinera» (plano 12-D, escala 1:5000).
Los esfuerzos para el desagüe debieron ser considerables. La existencia de un plano con un sifón de desagüe en esta mina denota los esfuerzos por continuar con su explotación, que se debió considerar prioritaria. Los planos de este sifón se recogen en el plano de la compañía 12-D, donde se especifica un proyecto, partiendo de una boca de galería de acceso a un pozo de 61, 955 metros transportaba el agua por tuberías y acequias el agua siguiendo el curso del río Jauto hasta más allá del molino del río Seco, en el Barranco Baeza, incluyendo una acequia hacia la alberca del molino. Este proyecto que debió llevarse a cabo, al menos en parte, a tenor de la existencia de los restos de una acequia junto al lecho del barranco. Según el proyecto original el desarrollo de la tubería era de 1825 metros y de acequias 1660 metros.

Borrador de un perfil de la mina Carabinera, con varios sondeos y parte de las galerías, entre ellas la galería de la Huerta o la de San Teodoro. Se representan también algunas de las instalaciones de la mina.
Es especialmente interesante el testimonio que recogimos de dos empleados de Hierros de Garrucha que estuvieron trabajando en la preparación de la mina Carabinera para su explotación. Contaba Juan Antonio Jódar que él y Juan Girona estuvieron participando en los trabajos de desagüe previos a la explotación de la misma. Según este testimonio, se instaló una bomba y unas serie de canalizaciones por las que se extraía el agua del pozo maestro, que estaba completamente inundado. A pesar de los esfuerzos, no se conseguían desecar las labores hasta que se dieron cuenta que, aunque el agua se vertía en el Jauto, ésta se volvía a filtrar en el subsuelo y volvía a las galerías. Lo solucionaron dirigiendo el agua más abajo en el Jauto, evitando así que se filtrara a la mina. De esta manera consiguieron desaguar la mina.

En las galerías que conecta con los dos pozos principales de la mina se observan todavía parte de los trabajos de Hierros de Garrucha para el desagüe de la mina Carabinera.
En esta mina encontramos todavía los restos de una balsa, las del pozo maestro con los restos de la caseta que albergaba la máquina de vapor, el depósito del cargadero, las ruinas de las oficinas, talleres, etc. Llama la atención los restos de las instalaciones de la parte superior de la misma:

En la parte superior de Carabinera, se observa esta curiosa balsa con diversas subdivisiones internas, conectada por un conducto con la caseta ubicada en la parte superior. Da la impresión de tratarse de un lavadero de lodos, para extraer las pequeñas partículas de mineral que contenía. Podría tratarse también de parte del antiguo sistema (o sistemas) de desagüe, aunque en ese caso desconocemos qué función podrían tener estas estructuras junto en la parte superior de la mina.
ACCIDENTES Y CONDICIONES DE TRABAJO EN LA MINA CARABINERA
Las informaciones publicadas en los periódicos nos dan también información sobre los accidentes acaecidos en esta mina y también algunos datos interesantes sobre las condiciones de trabajo en la misma, que debían ser extrapolables a los de las otras minas. En 1908 un desprendimiento en esta mina dejó herido a un «muchacho» (un niño trabajador) llamado Ginés Balastegui Jódar (La Independencia, 2 de septiembre de 1908). No tuvo tanta suerte el minero Antonio Contreras Caparrós, que encontró la muerte en un desprendimiento de terrenos en esta mina el 14 de agosto de 1911 (La Independencia, 19 de agosto de 1911). Esta muerte tuvo como consecuencia, seguramente no deseada, la visita del Ingeniero jefe de Minas, para la elaboración de un informe sobre esta muerte. Desconocemos más al respecto.
Pero sin duda, uno de los documentos más excepcionales sobre esta mina se publicó en El Radical de 9 de Mayo de 1911. Dado su gran interés, lo reproducimos tal cual se publicó:
TRABAJOS DE LA COMPAÑÍA DE AGUILAS.
ABUSOS EN LA MINA “CARABINERA”
-Injusto, cruel é inhumano, es el tratamiento á que someten á los niños en la mina “Carabinera”. Cuando sus débiles miembros, ya cansados por el constante trabajar –ficgaan—(¿flaquean?), brutales puñetazos, crueles bofetadas, indignos correazos descargados sobre sus cuerpos, les hacen avivar la marcha en la tierra sin que sus ayes lastimeros hagan mella en la conciencia del vigilante que ejecuta acto tan brutal y canallesco.
¡Pobres criaturas, seres desgraciados que apenas si nacéis, empezáis a padecer la injusticia de unos cuantos hombres que se enriquecen á costa de vuestro martirio!
¡No es estraño, que mañana os reveléis contra vuestros bárbaros opresores!
-Pero, el Ingeniero Director ¿no pone coto á tanta barbarie? Me preguntaron.
-El Ingeniero se entera y hace oídos de mercader. Pero no es eso todo. Por comodidad de los encargados de hacer entrega de las chapas, estas se recogen por la tarde, dando esto lugar á un enorme abuso; pues el pobre que tiene la desgracia de olvidarse de recogerlo cuando la voluntad de los mandones dispone, pierde un cuarto día, es decir, que el que trabaja una noche entera, si la tarde antes al entrar á la mina no recogió su chapa correspondiente, sin que le valgan quejas y esté justificado el haber trabajado toda la noche, por la lista que lleva el vigilante pierde sin remisión un cuarto.
-Tu exageras.
¡Exagerar yo! Pues escucha: Ha varias noches nacimos de nuevo unos cuantos obreros de “Carabinera”.
-Cuenta, cuenta.
-Pues verás: Fuimos avisados para cenar, según costumbre. Para salir de la mina á la calle hay que subir por una trancada mal construida, donde apenas puede uno poner los pies en firme por la estrechez de sus escalones y lo resbaladizo de la mina que conduce á una galería designada con el número 2; y como en referida mina hay agua en abundancia en este sitio nos detenemos para secarnos ó mudarnos de ropas y efectuada que es esta operación, marchamos á la cena.
La noche á que me refiere, al regresar de haber comido, nos encontramos reundida la galería donde momentos antes habíamos cambiado de ropas y enterrados, en los escombros, los trajes que nos quitamos para salir. Y esto ocurrió en el paso de todo el relevo.
-¿Y como un sitio tan frecuentado estaba tan falso?
-Toma, porque allí no había hierro y es infructuoso el gasto invertido en hacer consistente el terreno, y como si ocurren desgracias, paga la Compañía de Seguros, de ahí que nada importe a la Compañía explotadora.
-Pues conforme me has relatado los hechos irán a la prensa.
-Gracias por tu bondad y hasta muy pronto.
Transcribiendo fielmente las palabras del compañero, he cumplido con un deber y seguramente su publicación ha de dar motivo á que otras personas más cultas y pudientes que yo, ¡pobre dependiente del pico y la pala! Aboguen para evitar tanto abuso.
El duende minero.
¿SE CONOCE EL ORIGEN DEL NOMBRE DE ESTA MINA?
Finalmente, pero no menos importante, voy a hacer referencia a una interesante historia que nos ha llegado vía tradición oral. Son datos difícilmente comprobables, pero considero que son datos de gran importancia porque en cierta manera nos muestra el impacto que la riqueza mineral que escondían estas montañas podía tener sobre los pobladores de la zona. Sé que sería pretencioso comparar esta historia con las surgidas alrededor del descubrimiento del filón del Jaroso, pero me pregunto hasta qué punto proliferaron por esos entonces estas historias de enriquecimientos más o menos rápidos por fantásticos descubrimientos de ricos filones de mineral.

Como se observa en el perfil de esta mina, el filón de mineral solo aflora a la superficie en una franja de terreno junto al río Jauto. Quien fuera que descubriera esta capa de mineral de hierro, de bastante buena calidad, lo hizo gracias a este pequeño afloramiento.
La historia nos la aporta Vicente González, una historia transmitida por su bisabuela Doña Matilde Orozco Gallardo, cuyo padre político, Don Diego González Haro tenía la costumbre de frecuentar la zona donde posteriormente se demarcó la mina Carabinera. El caso es que Diego (a) el carabinero fue el que descubrió el filón de hierro en esta montaña, por lo que se le puso el nombre de Carabinera en honor a su descubridor. Diego vendió su descubrimiento, supuestamente a don Ginés Orozco Segura, a cambio de un tarro de monedas.

Ginés Orozco Segura (Retratos, tomo IV, Jean Laurent, Museo de Historia de Madrid)
Vicente nos aporta información sobre el que se cuenta que fue descubridor de esta mina: Don Diego González Haro nació en Turre en 1856, se desposó con Doña Catalina Piñero Jódar con la que tuvo un hijo, Don Alonso González Piñero, que afirman fue a trabajar a una mina cercana a Melilla, en Segangan. Según nos relata nuestro amigo, su bisabuela comentó lo difícil que era el trabajo en la mina, y se acordaba de varias catástrofes, una de las cuales ocasionó muchas muertes y que la dejó muy tocada.

Panorámica de los restos de la mina Carabinera junto al río Jauto. Nada delata, aparentemente, la existencia de grandes reservas de mineral de hierro.
Estas historias que nos relata Vicente González concuerdan perfectamente con lo que conocemos del primer periodo de minería en Bédar, incluyendo la emigración de muchos de estos mineros a las minas del norte de África. Sin duda, la terrible catástrofe que ocasionó tantos muertos y de la que se horrorizaba Doña Matilde se correspondería con la ocurrida en la mina San Manuel en 1906, que ocasionó una gran consternación y miedo entre la población. No deja tampoco de llamar la atención que quien cuenta esta historia se apellida precisamente Orozco, como el registrador, ¿casualidad?
Claro que si tenemos en cuenta que el primer registro se realizó en 1857 y que Don Diego González nació en 1856, es imposible que fuera el descubridor del filón de Carabinera. Sin embargo, y teniendo en cuenta otras historias que nos han llegado vía «tradición oral», aunque los hechos de la historia se suelen mantener más o menos inalterados, es la escala temporal lo que más se altera, sin duda porque las buenas historias nunca mueren y no sería de extrañar que en esta tierra no solo sean los «alias» los que se heredan, también podría pasar lo mismo con las buenas historias.
POBREZA
El desastroso incendio que sufrió Bédar en 2012 afectó especialmente a la zona del barranco del Servalico. Como ya comenté anteriormente, afectó de lleno los terrenos donde se encuentra una de las minas más importantes en la historia de Bédar, la mina Pobreza.
Mientras documentaba los desastrosos resultados del incendio, aproveché también para documentar los restos de esta mina, en este caso libres de la vegetación que habitualmente dificulta su contemplación. Sinceramente, me gustaría no haber tenido esta oportunidad, y espero que nunca vuelva a ocurrir, aunque sí que da una imagen bastante aproximada de cómo quedarían los restos de esta mina si se preparara adecuadamente para su visita.
Pobreza es una de las minas más importantes y también una de las menos conocidas. Ya he dado anteriormente bastantes datos sobre ella, en ocasión de la descripción de su horno de calcinación de carbonatos de hierro. Ahora veremos más restos de esta mina.
Explotada por la Compañía de Águilas desde finales del siglo XIX hasta el cierre de las minas de la Unión Bedareña en los años veinte, Pobreza fue la mina que permitió que Bédar mantuviera una producción constante de mineral cuando, a finales de siglo, el mineral de las minas de Serena empezó a escasear. Los datos concretos sobre la importancia de esta mina, que todavía estamos investigando, esperamos que sean publicados prontamente.
Junto a la vía de transporte principal, paralela al barranco del Servalico, se encuentran las oficinas y la cuadra para las mulas que se utilizaban para el transporte de las vagonetas:

Esta vía minera recogía el mineral de las bocaminas de las galerías principales de transporte San Diego y San José para llevarlo a la tolva-cargadero principal del ramal de cable aéreo que lo transportaba hasta la estación de ángulo del Pinar de Bédar. Este cargadero es muy parecido al cargadero-depósito de la mina Carabinera, que contaba también con un ramal de cable aéreo:

Junto al cargadero se ubicaba la estación de llegada del ramal de cable, con su correspondiente máquina a vapor y junto a un aljibe para el suministro de agua que precisaba para su funcionamiento. Se observan todavía las balsas de suministro y fundamentos de la estación del cable, aon algunos vestigios de la maquinaria, como el tubo que se observa en la fotografía:


Aquí podemos ver el interior del aljibe:

Más arriba en la loma, todavía se pueden encontrar alguno de los pozos iniciales que se practicaron para reconocer la capa de mineral que explotaron y que luego sirvieron como pozos de ventilación. En concreto vemos el pozo del Camino, junto al camino que recorría esta parte superior de la mina y que conectaba éste pozo con el pozo Maestro y el pozo de los Almendros. Todos los pozos de reconocimiento junto al camino estaban protegidos mediante con un pequeño muro de mampostería:

El pozo principal de extracción, ubicado en la parte superior del cerro, era el conocido como pozo Maestro. Unas instalaciones protegían la máquina de vapor que se utilizaba para extraer el mineral. Esto nos indica que, a parte de las galerías de transporte antes mencionadas, el avance de las labores de las minas hacia el interior del cerro, siguiendo una capa de mineral que buzaba ostensiblemente, por lo que elevaba mucho el coste del transporte hasta las bocaminas. Un pozo de extracción hasta el punto más elevado y cerca del cable de transporte facilitaría el movimiento de mineral.
En estas fotografías podemos ver los restos del pozo y de la caseta de máquinas. Parece que disponía de un pequeño castillete de madera y hierro del que solo quedan algunos enganches:




Quedan todavía restos de curiosas piezas de cerámica, que como se podrá observar, se fabricaban en la Industrial Alfarera de Barcelona. Se trata de restos de tejas planas alicantinas.


Recientemente se hundió la entrada a la galería de San Diego, lo que recuerda lo peligroso de explorar estas minas sin preparación. Curiosamente hay escasos restos de entibación en esta mina (algunos troncos para dar sensación de seguridad más que para otra cosa). La entrada a la galería de San José permanece derrumbada desde hace mucho tiempo.

Cuando la Compañía de Águilas y la sociedad de Chávarri formaron la Unión Bedareña, se desinstaló todo el ramal de cable aéreo y quedó inservible el pozo Maestro. El mineral de nuevo fue extraído por las galerías de transporte San Diego y San Juan y se decidió transportarlo por medio del ramal de ferrocarril de Santa Catalina, que discurría por el otro margen del barranco. El mineral primero se lanzaba hasta el fondo del barranco mediante un «vaciadero» ubicado entre las bocaminas de San Diego y San Juan. Desde allí se elevaba hasta un pequeño cargadero junto al ramal de ferrocarril, mediante un pequeño plano inclinado automotor. En la siguiente fotografía vemos este vaciadero con todo detalle, inapreciable habitualmente a causa de la vegetación. Nótese como todavía queda algo de mineral acumulado a los pies del mismo:

Ya describimos con detalle el horno de calcinación de esta mina, junto a la bocamina de la galería de Santa Bárbara (o trancada nº 3). En la siguiente fotografía podemos ver con detalle todo el conjunto, tal y como ser vería si siempre se mantuviera limpio y listo para las visitas:

JUPITER
Se trata de las minas más importantes de toda la sierra de Bédar y uno de los puntos culminantes de la ya conocida «ruta minera» de Bédar, uno de los miradores de parada obligatoria. Pocos nombres despiertan tan malos recuerdos entre los viejos mineros de Hierros de Garrucha que el de «Hoyo Júpiter», y no de extrañar, solo hay que adentrarse por esas galerías para entender lo que debía ser trabajar allí dentro jornadas enteras…

La mina es también una de las más antiguas, las Peñicas Negras, en las «Cañadicas», no muy lejos de Serena. Estoy seguro que muchos de los que ya han hecho la ruta se acordarán del mirador del Hoyo Júpiter. Pero si quieren ver lo que hay en ese inmenso Hoyo, no se pierdan estas fotografías.

No quiero aburrir con muchos datos históricos, que los hay, sobre esta mina en concreto. Junto a San Manuel, Porfiado y Mahoma, son las más importantes del «grupo de Serena» y las grandes cantidades de hierro que contienen (o contenían) fueron el motivo de que se construyeran dos cables aéreos de transporte. Se calcula que, de estas minas de Serena, se extrajeron cerca de 3.000.000 de toneladas, gran parte de este mineral se extrajo a «cielo abierto», y donde antes había una montaña, ahora hay un enorme agujero de unos 200 metros de largo y 50 de ancho, que recorre las concesiones mineras de Porfiado y Júpiter. Y si impresionante es verlo desde arriba, más sobrecogedor es, si cabe, verlo desde abajo, desde la famosa cota 360.

Para facilitar el transporte, una galería recorría todo el fondo del Hoyo hasta salir en lo que era la cabecera del gran plano inclinado que llevaba el mineral al cargadero del cable. Todo este fondo del Hoyo está surcado por numerosas cicatrices y depresiones, los restos de las antiguas labores de extracción y vías de transporte superficial. Así podemos diferenciar antiguas depresiones que se corresponden con los tres planes de Hoyo de Júpiter, dos de ellos conocidos como roza Colorada y roza Negra. Los hoyos de San Marcos y de Porfiado y la roza del Teléfono, en Porfiado.

Si descendemos al fondo del hoyo, podemos llegar con algo de dificultad al «socavón general», pero hay que saber cual es, pues en el hoyo hay multitud de bocaminas. Cuando el Hoyo llegó a la cota 360, debido a que las capas de mineral profundizaban en la tierra siguiendo un ángulo, era tal la cantidad de estéril que se tenía que movilizar que la Compañía minera se vio obligada a iniciar labores subterráneas. Estas labores se extienden como una red en todas direcciones, pero principalmente se desarrollaron en dirección al barranco de la Hoya, en la concesión de Mahoma.

Una vez dentro, diferentes trancadas llevan a los diversos niveles de la mina. La red de galerías es compleja, y se encuentr a diversos niveles. Desgraciadamente no existen muchos planos de estas minas ni tampoco son muy fiables, como hemos podido comprobar. Los diversos periodos de explotación en un periodo de tiempo tan dilatado y el posterior reaprovechamiento por parte de Hierros de Garrucha, hace difícil la tarea. A Pesar de todo estamos bastante seguros que nos movemos por el antiguo sector de San Jacinto, internándonos en la concesión de Mahoma.

Nos movemos por galerías que ya han sido visitadas, en alguna ocasión, por buscadores de minerales, aunque no es buen sitio para minerales, dada la presencia masiva de óxidos de hierro con pocos minerales «bonitos». Podemos encontrar, eso sí, diferentes restos que dejaron los mineros de Hierros de Garrucha, como espuertas, puntas de barrena rotas, fragmentos de vagonetas, etc. También impresiona un fragmento de vía de transporte que no pudieron llevarse para reaprovechar el hierro porque fue atrapada, creo que para siempre, por una enorme piedra desprendida del techo de la galería.

Las galerías dan acceso a las zonas de explotación´, gigantescas e impresionantes cavidades excavadas a base de explosivos.

Diferentes «trancadas» conectan los niveles, así se conocían las galerías de acceso para los mineros desde el exterior o las conexiones entre diferentes galerías. Entre los diferentes pisos de la minas se observan lo que se conocían como «pocillos», o pozos que conectaban galerías a diverso nivel y que servían para transportar el mineral. Los pozos inclinados que conectaban zonas de explotación a diverso nivel, recibían el nombre de «chimeneas», mientras que los «buzones» eran también conexiones a diferente nivel, pero diseñadas específicamente para el transporte entre niveles, en forma de embudo generalmente y provistos por lo general en su parte inferior de compuertas de carga.

Avanzamos por las galerías, aunque nos es imposible saber si es la vieja galería de San Andrés o la de San Augusto. Sabemos, sin embargo, que avanzamos hacia el Pozo P, pozo de extracción con castillete que se encuentra en el barranco de la Hoya. Pero no conseguimos alcanzar el objetivo, un derrumbe lo impide. A pesar de todo, encontramos restos que nos indican claramente que nos encontramos cerca de alguna de las salidas al barranco de la Hoya.


La única forma de continuar es por medio de un «pocillo» provisto de una escalera metálica y los restos de un cabrestante, pero como observarán en las fotografías, no parecía estar en perfectas condiciones como para ser utilizado. Aquí finalizaba nuestra aventura.


